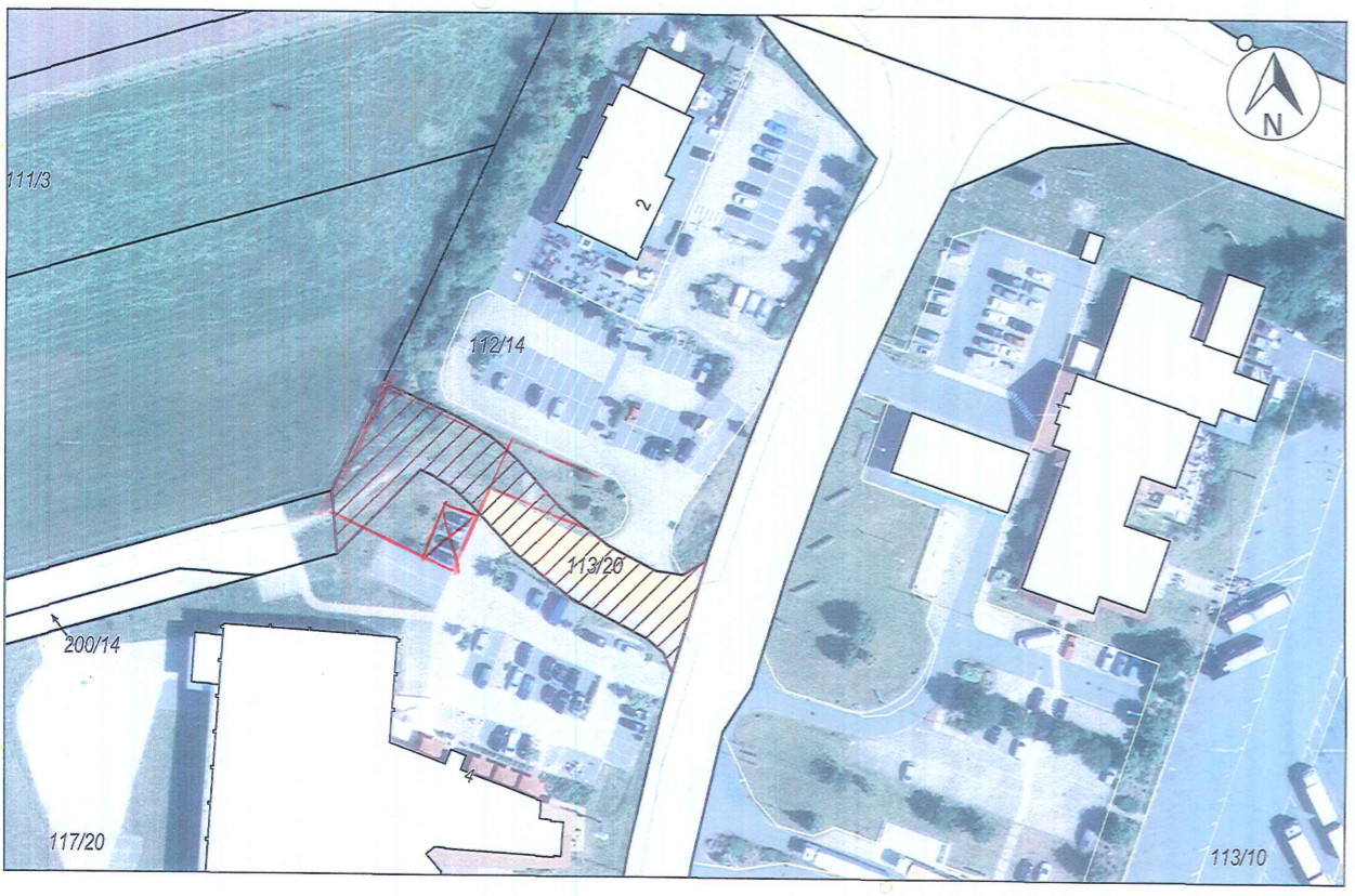
Aufruf: Errichtung einer E-Tankstelle an der Autobahn A7, Abfahrt 50 Schwarmstedt

Die Gemeinde Buchholz (Aller) möchte in der Elektromobilität eine Vorreiterrolle einnahmen. Die Gemeinde verfügt im Gerbwerbegebiet westlich der A7, in unmittelbarer Nähe der Abfahrt Schwarmstedt (Heidekreis, Niedersachsen) über Flächen, die hierzu an Dritte veräußert werden können.

Es handelt sich um Wegeflächen, die nicht mehr benötigt werden und entwidmet werden sollen. Das Entwidmungsverfahren soll in der nächsten Sitzung des Rates der Gemeinde eingeleitet werden.

Die Errichtung einer Infrastruktur im Gewerbegebiet Buchholz bietet sich besonders an, weil zum einen eine direkte Nähe zur Hauptverkehrsader A7 besteht. Die Tankstelle befindet sich ein einer 1-A Lage zwischen Mc. Donalds und Bäckerei Vatter am Beginn des Gewerbegebietes. Zudem besteht eine gute Infrastruktur für Kunden einer E-Tankstelle während des rund halbstündigen Ladevorgangs (Cafe Vatter, Mrs.Pepper, Truckstop, Mc Donalds).

Betreiber, die ein Interesse am Betrieb einer Tankstelle und dem Erwerb des Grundstückes haben werden gebeten bis zum 26. April 2019 ihr Konzept schriftlich bei der Gemeinde Buchholz (Aller), Am Markt 1, 29690 Schwarmstedt, rathaus@schwarmstedt.de einreichen. Ansprechpartner für Rückfragen ist Herr Otto, Telefon 05071/809-133. Unter Umständen erfolgt eine Projektvorstellung in den Ratsgremien zu der die Bewerber eine Einladung erhalten.

Auf folgende grundsätzliche Anforderungen soll in den Konzepten eingegangen werden:

  • Nutzung einer Ultra-Schnelladetechnologie
  • Multifunktionalität, d.h. alle gängige Stecker / Lademöglichkeiten
  • Gute Ausnutzung der vorhandenen Grundstücksfläche, d.h. möglichst viele Ladesäulen auf der vorhandenen Fläche.
  • Zahlungs- und Abrechnungssystem. Einfache Nutzung für Kunden aus dem In- und Ausland.
  • Kosten des Tankvorganges
  • Einsatz regenerativer Energien / Ökostrom
  • Optische Gestaltung Überdachung , Abgrenzung zum benachbarten Dorfgebiet, Anordnung
  • Die E-Tankstelle soll privatwirtschaftlich betrieben werden


Aufruf E-Tankstelle.pdf

 

   
buchtipp-2026-04-18Die Samtgemeindebücherei im Uhle-Hof empfiehlt in dieser Woche folgende neue Bücher für Erwachsene:

mehr...
buchtipp-2026-04-25Die Samtgemeindebücherei im Uhle-Hof empfiehlt in dieser Woche folgende neue Bücher für Kinder ab 10 Jahren:

mehr...
buchtipp-artikel-2026-03-osternDie Samtgemeindebücherei Schwarmstedt hat in den Osterferien geöffnet. Lediglich an den beiden Donnerstagen leibt die Bücherei geschlossen.

mehr...
buchtipp-2026-03-21Die Samtgemeindebücherei im Uhle-Hof empfiehlt in dieser Woche folgende neue Bücher für Kinder ab 7 Jahren:

mehr...
buchtipp-2026-03-14Die Samtgemeindebücherei im Uhle-Hof empfiehlt in dieser Woche folgende neue Bücher für Erwachsene:

mehr...
buchtipp-2026-03-07Die Samtgemeindebücherei im Uhle-Hof empfiehlt in dieser Woche folgende Pocket- und Book-Tonies für Kinder ab 5 Jahren:

mehr...
buchtipp-2026-02-28Die Samtgemeindebücherei im Uhle-Hof empfiehlt in dieser Woche folgende neue Romane für Erwachsene:

mehr...
buchtipp-2026-02-21Die Samtgemeindebücherei im Uhle-Hof empfiehlt in dieser Woche folgende neue Bücher für Kinder ab 8 Jahren:

mehr...
buchtipp-2026-02-07Die Samtgemeindebücherei im Uhle-Hof empfiehlt in dieser Woche folgende neue Romane für Erwachsene:

mehr...
buchtipp-2026-01-24Die Samtgemeindebücherei im Uhle-Hof empfiehlt in dieser Woche folgende neue Romane für Erwachsene:

mehr...
buchtipp-2026-01-17Die Samtgemeindebücherei im Uhle-Hof empfiehlt in dieser Woche folgende neue Bilderbücher für Kinder ab 3 Jahren:

mehr...
buchtipp-2026-01-10Die Samtgemeindebücherei im Uhle-Hof empfiehlt in dieser Woche folgende neue Romane für Erwachsene:

mehr...
buchtipp-artikel-2021-12-fDie Samtgemeindebücherei Schwarmstedt bleibt wegen Betriebsferien und anschließender Inventur vom 22. Dezember 2025 bis einschließlich 06. Januar 2026 geschlossen. Die letzte Möglichkeit zur Ausleihe ist am Freitag, den 19.12.2025 und die erste Ausleihe wird am Donnerstag, den 08.01.2026 wieder möglich sein.

mehr...
buchtipp-2025-12-20Die Samtgemeindebücherei im Uhle-Hof empfiehlt in dieser Woche folgende neue Weihnachtsromane für Frauen:

mehr...
buchtipp-2025-12-13Die Samtgemeindebücherei im Uhle-Hof empfiehlt in dieser Woche folgende neue Weihnachtsbilderbücher für Kinder ab 4 Jahren:

mehr...
buchtipp-2025-11-29Die Samtgemeindebücherei im Uhle-Hof empfiehlt in dieser Woche folgende neue Bilderbücher für Kinder ab 18 Monaten:

mehr...
buchtipp-2025-11-22Die Samtgemeindebücherei im Uhle-Hof empfiehlt in dieser Woche folgende neue Bücher für Erwachsene:

mehr...
buchtipp-2025-11-15Die Samtgemeindebücherei im Uhle-Hof empfiehlt in dieser Woche folgende neue Bücher für Kinder ab 8 Jahren:

mehr...
buchtipp-2025-11-08Die Samtgemeindebücherei im Uhle-Hof empfiehlt in dieser Woche folgende neue Bücher für Erwachsene:

mehr...
buchtipp-2025-11-01Die Samtgemeindebücherei im Uhle-Hof empfiehlt in dieser Woche folgende neue Bilderbücher für Kinder ab 3 Jahren:

mehr...
buchtipp-2025-10-25Die Samtgemeindebücherei im Uhle-Hof empfiehlt in dieser Woche folgende neue Bücher für Erwachsene:

mehr...
buchtipp-2025-08-30Die Samtgemeindebücherei im Uhle-Hof empfiehlt in dieser Woche folgende neue Bücher für Leseanfänger der 1. und 2. Klassen aus der Serie Bücherhelden:

mehr...
buchtipp-2025-08-15Die Samtgemeindebücherei im Uhle-Hof empfiehlt in dieser Woche folgende neue Bilderbücher für Kinder ab 4 Jahren:

mehr...
buchtipp-2025-08-08Die Samtgemeindebücherei im Uhle-Hof empfiehlt in dieser Woche folgende neue Bücher für Erwachsene:

mehr...
buchtipp-2024-01-27Die Samtgemeindebücherei im Uhle-Hof empfiehlt in dieser Woche folgende neue Bücher für Kinder ab 9 Jahren:

mehr...
buchtipp-artikel-2024-01-oeffnungsAb dem 01.Februar 2024 gelten für die Samtgemeindebücherei Schwarmstedt vorrübergehend für ca. 4-6 Monate neue Öffnungszeiten: Montag geschlossen, Dienstag 15-18 Uhr, Mittwoch geschlossen, Donnerstag 15-18 Uhr und Freitag geschlossen.

mehr...
   

Kontakt Rathaus  

Samtgemeinde Schwarmstedt
Am Markt 1
29690 Schwarmstedt

Tel. (05071) 809 - 0
Fax. (0511) 93 69 717 62
E-Mail: rathaus@schwarmstedt.de

thumbnail Feedback, Mängelmeldung
thumbnail Terminbuchung
   

Öffnungszeiten  

Öffnungszeiten Bücherei

Montag 15-18 Uhr
Dienstag 15-18 Uhr
Mittwoch geschlossen
Donnerstag 15-19 Uhr
Freitag 9-12 Uhr

Tel. (05071) 800-400

eMail: buecherei@schwarmstedt.de

   

Veranstaltungskalender  

   

Aktuelles  

27.04.2026
aktuelles-2026-05-sporthbuchsanSanierung gestartet: Sporthalle Buchholz (Aller) voraussichtlich ab Mitte...mehr...
24.04.2026
aktuelles-2026-05-klimaschutzMeilenstein für den Klimaschutz: Samtgemeinde Schwarmstedt erhält 250.000...mehr...
20.04.2026
aktuelles-2026-05-hallenbad-ecErfolgsmodell Kartenzahlung: Schwarmstedter Hallenbad setzt auf bargeldlosen...mehr...
20.04.2026
bekanntmachung-gilten-2026-05-ratDie nächste Sitzung des Bau- und Wegeausschusses der Gemeinde Gilten - als...mehr...
17.04.2026
hallenbadschliessung-am-21-04-2026-ab-15-00-uhrAus personellen Gründen muss das Hallenbad am mehr...
09.04.2026
bekanntmachung-buchholz-2026-04-ratDie nächste Sitzung des Rates der Gemeinde Buchholz (Aller), als...mehr...
   
   

 

  Samtgemeinde Schwarmstedt

Postfach 1154
29684 Schwarmstedt

Hausanschrift:
Rathaus
Am Markt 1
29690 Schwarmstedt

Vorsprache nur nach Terminvereinbarung

Telefon (Zentrale): 05071/809-0
Telefon (Bürgerbüro): 05071/809-99
E-Mail: rathaus@schwarmstedt.de
Kontakt (Was erledige ich wo?)

Kontodaten der Samtgemeindekasse

Sprechzeiten Bürgerbüro
(Meldeamt, Ausweise/Pässe, Fundbüro, Kfz-Zulassung, Gewerbe/Gaststätten):
Montag, Mittwoch & Freitag 08:30 – 14:00 Uhr
Dienstag & Donnerstag 08:30 – 12:00 Uhr 
  13:00 – 18:30 Uhr


Sprechzeiten Sozialamt
(Bürgergeld, Sozialhilfe, Wohngeld, Asylbewerberleistungen, Unterbringung):
Montag – Freitag, 10:00 – 12:00 Uhr
Donnerstag 16:00 – 18:00 Uhr
   
allgemeine Sprechzeiten:
Montag – Freitag, 08:30 – 12:00 Uhr
Montag – Mittwoch, 13:00 – 15:00 Uhr
Donnerstag 14:00 – 18:00 Uhr
   
 
Impressum Datenschutz Barrierefreiheit Quellenangaben 
Wir benutzen Cookies
Wir nutzen Cookies auf unserer Website. Einige von ihnen sind essenziell für den Betrieb der Seite, während andere uns helfen, diese Website und die Nutzererfahrung zu verbessern (Tracking Cookies). Sie können selbst entscheiden, ob Sie die Cookies zulassen möchten.
Bitte beachten Sie, dass bei einer Ablehnung womöglich nicht mehr alle Funktionalitäten der Seite zur Verfügung stehen.